Blog
Digvesh Rathi: सार्वजनिक जानकारी की स्थिति और आवश्यकताएँ
परिचय: क्यों यह विषय मायने रखता है प्रदान की गई मौजूदा जानकारी केवल नाम “digvesh rathi” तक सीमित है। किसी भी व्यक्ति ...australia tropical cyclone red sky — लाल आसमान का क्या अर्थ हो सकता है
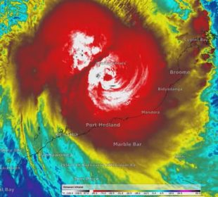
परिचय: महत्व और प्रासंगिकता “australia tropical cyclone red sky” जैसा संकेत मौसम और आपदा प्रबंधन के लिए महत्वपूर्ण होता है। ऑस्ट्रेलिया में ...सूर्यवंशी (suryavanshi): ऐतिहासिक और सांस्कृतिक प्रासंगिकता
परिचय: क्यों विषय महत्वपूर्ण है सूर्यवंशी (suryavanshi) शब्द भारतीय उपमहाद्वीप की सांस्कृतिक पहचान और इतिहास से जुड़ा हुआ एक प्रतीक है। यह ...what शब्द: अर्थ, प्रयोग और महत्वपूर्ण जानकारी
परिचय: क्यों ‘what’ महत्वपूर्ण है अंग्रेज़ी में ‘what’ एक बुनियादी प्रश्नवाचक शब्द है जो जानकारी माँगने, पहचान करने और भाव व्यक्त करने ...कल का आईपीएल: ipl yesterday match की रिपोर्ट और प्रमुख नतीजे
परिचय: क्यों अहम है ‘ipl yesterday match’ आईपीएल विश्व स्तर पर सबसे अधिक देखे जाने वाले घरेलू टी20 टूर्नामेंटों में से एक ...last of us: टीवी सीरीज और गेम से जुड़ी ताज़ा जानकारी
परिचय: क्यों है यह खबर महत्वपूर्ण? last of us एक बहुप्रचलित फ्रैंचाइज़ है जिसने वीडियो गेम और टेलीविजन दोनों जगतों में गहरा ...Royals vs Twins: एएल सेंट्रल का महत्वपूर्ण मुकाबला
परिचय: महत्व और प्रासंगिकता “royals vs twins” कमांड में होने वाला मैच मेजर लीग बेसबॉल के एएल सेंट्रल डिवीजन के लिए अक्सर ...cbse 12th result 2026: What students need to know
Introduction: Why cbse 12th result 2026 matters The cbse 12th result 2026 is a pivotal milestone for millions of students across India. ...what is today: आज की तारीख, समय और जानकारियाँ
परिचय: क्यों जानना जरूरी है कई बार दैनिक कामों में सरल सा प्रश्न ‘what is today’ अत्यंत महत्वपूर्ण बन जाता है। तारीख ...बृजेश शर्मा: उपलब्ध जानकारी, सत्यापन और महत्व
परिचय: विषय का महत्व और प्रासंगिकता नाम ‘बृजेश शर्मा’ वर्तमान सूचना में बताये गए प्रमुख कीवर्ड के रूप में उपलब्ध है। किसी ...












