australia tropical cyclone red sky — लाल आसमान का क्या अर्थ हो सकता है

परिचय: महत्व और प्रासंगिकता
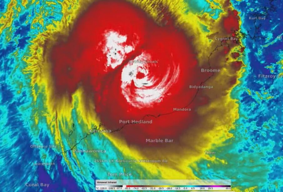
“australia tropical cyclone red sky” जैसा संकेत मौसम और आपदा प्रबंधन के लिए महत्वपूर्ण होता है। ऑस्ट्रेलिया में उष्णकटिबंधीय चक्रवातों के दौरान लाल आसमान के पर्यवेक्षण से स्थानीय समुदायों और प्राधिकरणों को संभावित धूल, धुआं या वातावरणीय कणों की मौजूदगी के बारे में संकेत मिलते हैं। यह जानकारी मौसम की दृष्टि से, हवाई और समुद्री संचालन तथा सार्वजनिक स्वास्थ्य के लिए प्रासंगिक है।
मुख्य विवरण: कारण, प्रभाव और घटनात्मक तथ्य
लाल आसमान के सामान्य कारण
उष्णकटिबंधीय चक्रवातों के समय लाल आकाश कई भौगोलिक और वायुमंडलीय कारणों से देखा जा सकता है। सूर्योदय या सूर्यास्त के कोण पर प्रकाश का फैलाव (Rayleigh और Mie scattering), वायु में धूल या रेगिस्तानी कण, वन्याग्नि से निकला धुआं, या समुद्री नमक व वर्तमान प्रणाली से जुड़े कण प्रकाश के तरंगदैर्घ्य को प्रभावित कर सकते हैं और आकाश को लाल या नारंगी रंग दे सकते हैं।
प्रभाव और सुरक्षा पर निहित अस्थायी संकेत
लाल आकाश स्वयं में आपदा नहीं है, पर यह सूचित कर सकता है कि वायुमंडल में कणों की अधिकता है जो दृश्यता और वायु गुणवत्ता खराब कर सकती है। उष्णकटिबंधीय चक्रवातों के आस-पास हवा की दिशा में बदलाव, तूफानी बादल और समुद्री उछाल के साथ यह दृश्य प्रकट हो सकता है। ऐसे समय में नाविकों, विमान ऑपरेटरों और आपात सेवाओं के लिए सतर्क रहना आवश्यक होता है।
निष्कर्ष: परिणाम और पाठक के लिए सुझाव
“australia tropical cyclone red sky” का अवलोकन स्थानीय मौसम घटनाओं और वायुमंडलीय अवस्थाओं का संकेत देता है। पाठक यह समझें कि लाल आसमान संभावित रूप से खराब वायु गुणवत्ता, घटती दृश्यता और मौसमी जोखिमों का सूचक हो सकता है, पर इसकी व्याख्या स्थानीय प्राधिकरणों (जैसे Bureau of Meteorology) और आपदा प्रबंधन रिपोर्टों के साथ मिलाकर ही करनी चाहिए। भविष्य में ऐसे संकेत देखे जाने पर आधिकारिक चेतावनियों का पालन करें, यात्रा योजनाओं को पुनः मूल्यांकित करें और कमजोर समूहों के लिए स्वास्थ्य-संबंधी सावधानियाँ अपनाएँ।









